El huracán Matthew, la tormenta más poderosa que golpea el Caribe en casi una década, azotó hoy temprano Bahamas mientras se dirige hacia la costa sureste de Estados Unidos , donde millones de personas huyeron en busca de refugio.
Las rutas de La Florida, Georgia y Carolina del Norte y del Sur estaban congestionadas y los suministros escaseaban en las estaciones de servicio y tiendas de alimentos antes de la llegada del huracán, que desplazaba vientos sostenidos de unos 185 kilómetros por hora y generaba fuertes lluvias.
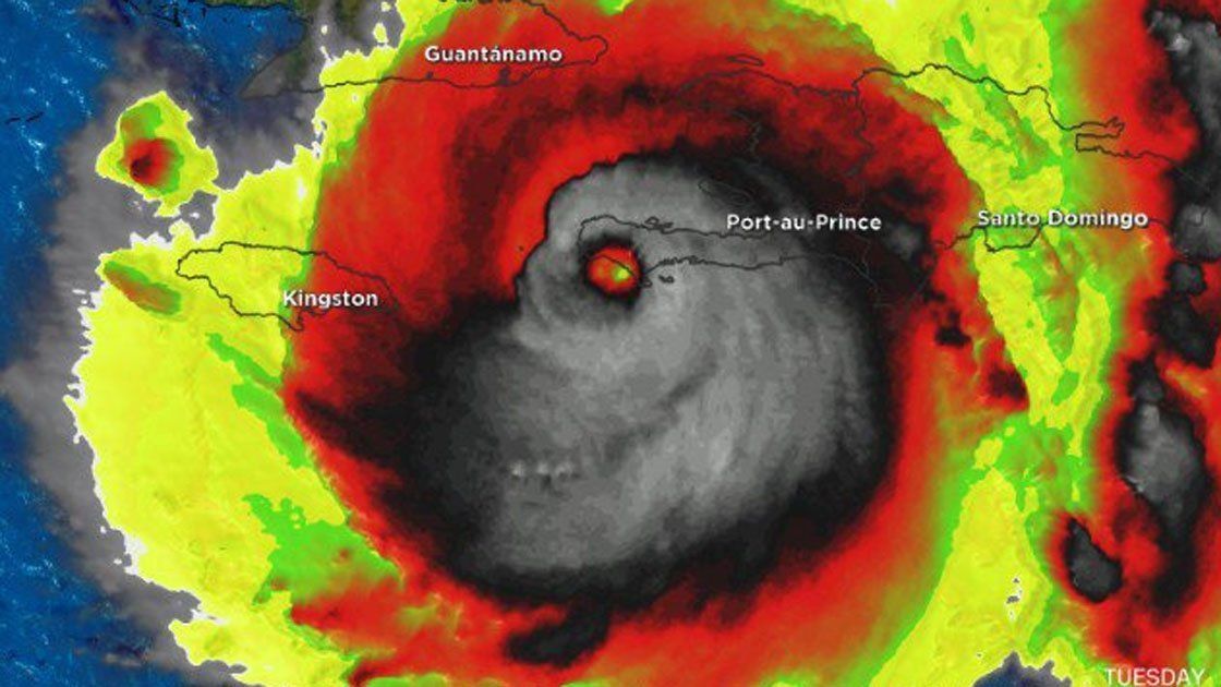
Matthew ya causó la muerte de al menos 39 personas en el Caribe y severos daños en el sur de Haití; además, llegó a ser de categoría 5 (la máxima en la escala Saffir-Simpsonm).
El Centro Nacional de Huracanes (CNH) de Estados Unidos dijo que espera que el fenómeno toque tierra en Florida esta noche. "Todos en nuestro estado deben prepararse ahora para un impacto directo", dijo ayer el gobernador de Florida, Rick Scott, en una conferencia de prensa en Tallahassee. "Si Matthew golpea directamente, la destrucción podría ser catastrófica y hay que estar preparados", agregó.
Según un probable patrón de trayectoria, "Matthew debería pasar cerca de las islas Andros y Nueva Providencia (la de Nassau) en las Bahamas nororientales temprano por la mañana, después cerca de Gran Bahama y acercarse mucho a la costa este de la península de Florida desde la noche del jueves a la del viernes".
Los cuatro estados en la trayectoria del huracán se declararon en emergencia, lo que permitirá a sus gobernadores movilizar a la Guardia Nacional. Los refugios en Florida, Georgia y Carolina del Sur abrieron sus puertas después de que las autoridades locales, junto con el presidente Barack Obama , instaran a las personas a evacuar sus hogares.
Las escuelas y los aeropuertos de la región estaban cerrados el jueves y algunos hospitales evacuaron a sus pacientes, informaron medios locales.
El CNH dijo que aún es demasiado pronto para predecir en qué parte de Estados Unidos Matthew podría causar el mayor daño.
El huracán, que ya pasó por Haití y Cuba , países donde ya se retiraron los avisos y alertas, está causando torrenciales aguaceros, fuertes vientos e inundaciones en las zonas donde tocó tierra, además de peligrosos deslizamientos.
De acuerdo con el centro meteorológico, es el huracán más poderoso que se ha formado en el Atlántico desde Félix, en 2007, que causó más de 130 muertos a su paso por Nicaragua.
Fuente: EFE y AP


