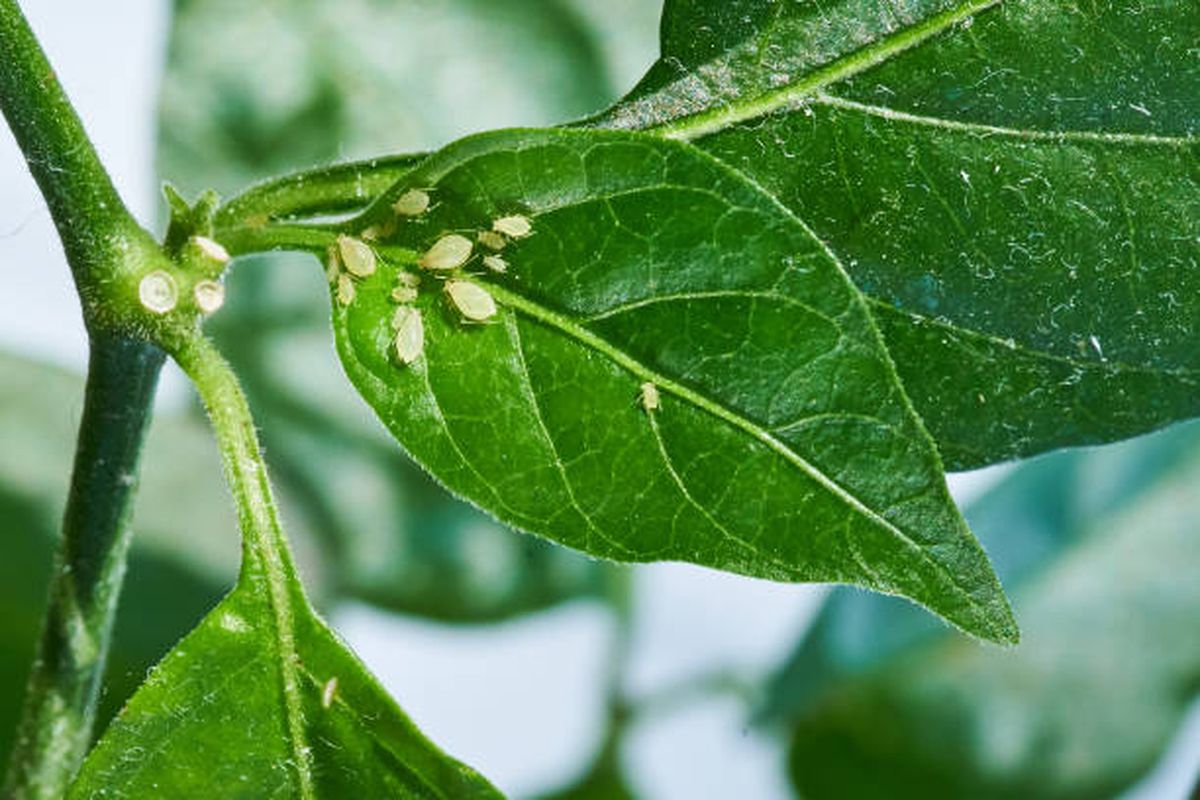
Las plantas pueden sufrir el ataque de distintas plagas, siendo el pulgón una de las más peligrosas. Estos insectos se alimentan de los brotes nuevos y hojas tiernas, por lo que cualquier ejemplar de interior o exterior puede ser blanco fácil (especialmente rosales, orquídeas y ficus). Para combatir este problema, expertos en jardinería recomiendan preparar un potente repelente casero.
El potente repelente casero que elimina la plaga de pulgones en pocos días
De acuerdo a especialistas en el tema, con un barato repelente casero elaborado con hojas de ortiga y agua, podremos ponerle fin a la plaga de pulgones, al mismo tiempo que ayudamos a crecer las plantas afectadas.
La explicación de este truco de jardinería radica en las propiedades de la ortiga. Sus hojas aportarán ácido fórmico, un compuesto con efecto repelente que actúa directamente sobre las plagas. Al mismo tiempo, contiene silicio, hierro, nitrógeno y fitohormonas que ayudan al desarrollo vegetal y al refuerzo de las paredes celulares.
Para elaborar este repelente casero, los expertos recomiendan reunir 1 litro de agua de lluvia o agua sin cloro con 100 gramos de hojas frescas de ortiga.
Una vez que tengas estos ingredientes, el primer paso será cortar las hojas de la ortiga en pequeños trozos y colocarlas en un recipiente de plástico o acero inoxidable. Añadir el agua y esperar a que la preparación fermente (puede demorar entre una y dos semanas).
Transcurrido el tiempo, deberás colar la preparación y luego almacenarla dentro de una botella tapada. Guardarla en un lugar fresco y oscuro. Este repelente casero puede conservarse por un máximo de 6 meses.
Para utilizar este repelente casero que le pondrá fin a la plaga de pulgones, se recomienda previamente rebajar la solución: en una botella colocar 100 cc de la preparación y 1 litro de agua. Luego, simplemente rociar las plantas afectadas. Con el paso de los días notarás cómo los insectos comienzan a desaparecer. Puedes repetir el truco de jardinería cada dos semanas.
Para prevenir el ataque de esta plaga y al mismo tiempo nutrir a las plantas, podrás regar el sustrato de los ejemplares con la solución diluida: mezclar 500 cc de la preparación y 1 litro de agua. Hidratar el suelo, siempre evitando el encharcamiento.






